|
一、副熱帶高壓和國慶準寒潮 10月2日,副熱帶高壓瘋了。 10月的它,竟然還牢牢地控制浙江福建臺灣,浙江麗水都34度了,長三角的黃梅天已經比6月還黃梅了,廣東東部吃熱帶味道的暴雨了,鄭州濟南又有夏天的感覺了,濕氣浸潤下半壁江山霧朦朦,或霾濃濃……  10月2日晚20點全國能見度監測,圖片來自中央氣象臺 所以國慶長假第一天和第二天上午,全國大部暖濕氣流強盛,那是一點都沒有“秋高氣爽”的感覺啊!
 10月2號早上8點副熱帶高壓位置和我國大部天氣形勢 不過,冷空氣醒過來了。今天(10月2號)傍晚,它已經從西伯利亞大舉南下,攻入新疆!現在的烏魯木齊,風雨交加,氣溫猛降,幾個小時降了接近10度!
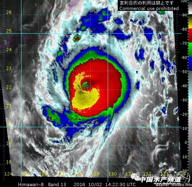
 10月2號晚9點30分全國主要天氣系統,底圖為湖北河海公司制作的向日葵8號衛星云圖 10月3號,這場冷空氣將闖過玉門關,襲擊蘭州銀川; 10月4號,它要跨過內蒙古高原和黃土高原,滲透到華北東北!蘭州、銀川、呼和浩特都有激烈的降溫,內蒙古大草原上有地方的降溫,可以達到寒潮級別!當然對于西安、鄭州、濟南還有京津冀,這場冷空氣可能是好事:溫度不會降太多,還能在10月4號吹跑霾!對長三角也算是好事,會讓這場“秋黃梅”暫停。 但是,在PJ波列和其他神秘力量的支持下,瘋癲的副熱帶高壓是如此之強,它要牢牢地橫亙在上海和廣州之間,一星期不動!所以: 這次的冷空氣被它完全擋在長江以北,南方降溫微乎其微! 臺風暹芭有后臺了,要和冷空氣正面對抗,搞點事! 暹芭后面還不斷有新臺風醞釀!

 10月2號、7號副熱帶高壓位置,可見副高非常堅挺強勢,位置非常穩定 二、超強臺風暹芭 我們先說今年第18號超強臺風暹芭。經過漫長的、扎實的結構梳理之后,暹芭的中心非常穩固,強度也非常強。目前(10月2號晚10點半左右),暹芭正在沖繩島以南約500公里,最大風力16級。

暹芭的前方,是太平洋黑潮暖流,有強勁的海洋暖核,還有極其優異的高空急流環境。因此,雖然表層的海溫只有28-29度,但它還將在超強臺風的基礎上繼續增強,明天(10月3號)中午以最高等級的五級臺風、最大風力17級甚至更高的姿態襲擊沖繩島,后天(10月4號)晚上以莫蘭蒂襲擊廈門時的強度襲擊日本九州島!

所以要去日本旅游的,你們一定要小心,暹芭來頭很大! 暹芭的強度遠超各個超級計算機、各大氣象局的預期。因此,它外圍暖濕氣流向北方進攻的幅度,也會超預期!冷空氣要和它的外圍氣流,在內蒙古和華北打一場很猛的架! 這里,北京尤其要注意,內蒙古大草原要注意。暹芭的暖濕氣流直沖北京群山而來,很可能在明天晚上到后天上午誘發超出預期的地形大雨;暹芭的暖濕氣流將和冷空氣在內蒙古大草原決戰,這里的雨量、降溫也都可能超預期,請做好準備! 三、新臺風依然在醞釀 因為副熱帶高壓的強勢,暹芭身后,臺風胚胎一個接一個的出來。

這其中,上次提到的、可能發展為19號臺風的99w,已經來到了菲律賓以東洋面。在強大的副熱帶高壓帶領下,它別無選擇只能往西跑,影響中國的可能性非常大,時間大概是7號-8號,正好是國慶放假的末尾、上班或上學的開始。 現在,有懸念的就是它來的時候有多強,到底是去影響福建以南的哪個省了。我們會一直盯著它,有最新消息會及時和大家分享。
 北方大部迎大風降溫并伴有小到中雨 昨天,一股中等強度冷空氣已從我國新疆啟程,率先給這里帶來大風降溫和降水天氣,而我國南方地區的降雨則逐漸減弱。監測顯示,昨日05時到今日05時,新疆天山沿山、伊犁河谷以及準噶爾盆地南部一帶,多個站點降雨量超過了30毫米,達到當地的暴雨標準;南方地區中,福建南部、廣東東部以及海南的一些地方出現了大到暴雨。 今天,影響新疆一帶的冷空氣將會逐漸向東推進,中央氣象臺預計,受其影響,10月3日至5日,我國北方大部地區將自西向東有一次中等強度冷空氣過程,新疆中南部、西北地區大部、內蒙古大部、華北大部、東北地區大部和黃淮東北部等地將先后有6~8℃降溫,其中南疆盆地東部、甘肅東部、陜西北部、內蒙古中部偏東地區、吉林西部等地的降溫幅度可達10~12℃;新疆大部、西北地區大部、內蒙古中西部、華北北部和東北地區南部等地將先后有4~6級風,山口地區風力可達7~8級。

在冷空氣的打壓之下,預計明后天,北方多地將迎來下半年以來的氣溫新低,像東北地區,10月4日以后最高氣溫將持續15℃以下的陰涼狀態,最低氣溫也會再次滑落至接近冰點;西北地區東部以及華北部分地區,節日末期將會降溫至15℃左右。 此外,今明天,江淮一帶降雨將逐漸停歇下來,轉為晴或多云的天氣。不過在華南沿海至云南南部一帶,未來一段時間雨水仍舊頻繁,不過多以小雨或陣雨為主,只在廣東的南部有小范圍的大雨出現。
|