少女哔哩哔哩视频在线看_今天的高清视频在线观看高清_中文字幕在线免费看线人_天香天堂免费观看电视剧

水產前沿網,網聚全球水產華人!

水產前沿網 | 網聚全球水產華人

 找回密碼
 注冊
查看: 4082|回復: 5
打印 上一主題 下一主題

好水養好魚,云南某養殖現場羅非魚喜獲豐收

[復制鏈接]

84

主題

5

聽眾

397

積分

二級會員

Rank: 3Rank: 3Rank: 3

  • TA的每日心情
    絕對不打你
    2015-4-16 10:38
  • 簽到天數: 126 天

    [LV.7]常住居民III

    帖子
    300
    精華
    0
    經驗
    397 點
    金幣
    2156 元
    注冊時間
    2013-10-6
    跳轉到指定樓層
    樓主
    發表于 2014-3-18 11:29:04 |只看該作者 |倒序瀏覽
    本帖最后由 孔雀魚 于 2014-3-18 11:34 編輯

       受寒潮的影響,20142月的羅非魚塘頭價延續上月好行情,據悉,此前因受寒潮的影響,各地羅非魚出現不同程度的凍傷、凍死現場,因此各地羅非魚存塘量較低,延續有價無市的行情。
       面臨著有價無市的境況,有人歡喜有人憂。在廣州聯豐水產技術團隊走訪各大過程中,云南羅非魚養殖大戶陳老板傳來了喜訊:寒潮后,羅非魚喜獲豐收,賣出了好價格。
        陳老板的魚塘位于美麗的七彩云南,陳老板是當地較早一批養殖羅非魚的養殖戶,從開始的小規模飼養,發展到現在已經有超越250畝的魚塘養殖水面。羅非魚屬于溫水性魚類,當水溫低于15℃時,就會出現凍傷死亡現象。因此,在當地不少的羅非魚養殖戶紛紛在年前就選擇將羅非魚賣出,以減少損失。陳老板有著多年的羅非魚養殖經驗,在結合當前羅非魚市場行情下,準確地做出預判,決定選擇年后出魚。正因為陳老板冒險的精神,使得此次羅非魚養殖大獲豐收。
       在被問到如何能夠養出好魚,賣出好價錢時,陳老板給我們列出了水產養殖成功的定律:好水好環境+好意識+好技術+好管理+好時機=好價格。的確,陳老板作為當地較早一批養殖羅非魚的養殖戶,具有較為豐富的水產養殖經驗。陳老板合理利用當地無污染水源,首先給羅非魚創造了一個良好的生長環境;還結合自身養殖經驗及結合羅非魚市場行情趨勢判斷出羅非魚上市的最佳時節,然后安排好羅非魚投苗的時間;同時,陳老板在羅非魚養殖過程中不斷地和廣州聯豐水產做好技術交流,取長補短,總結出一套適合當地羅非魚養殖的新技術;在以上的因素都具備的情況下,陳老板還不斷地做好日常的魚塘管理、魚苗保健等管理工作,這才會在羅非魚有價無市的情況下,賣出好價錢。
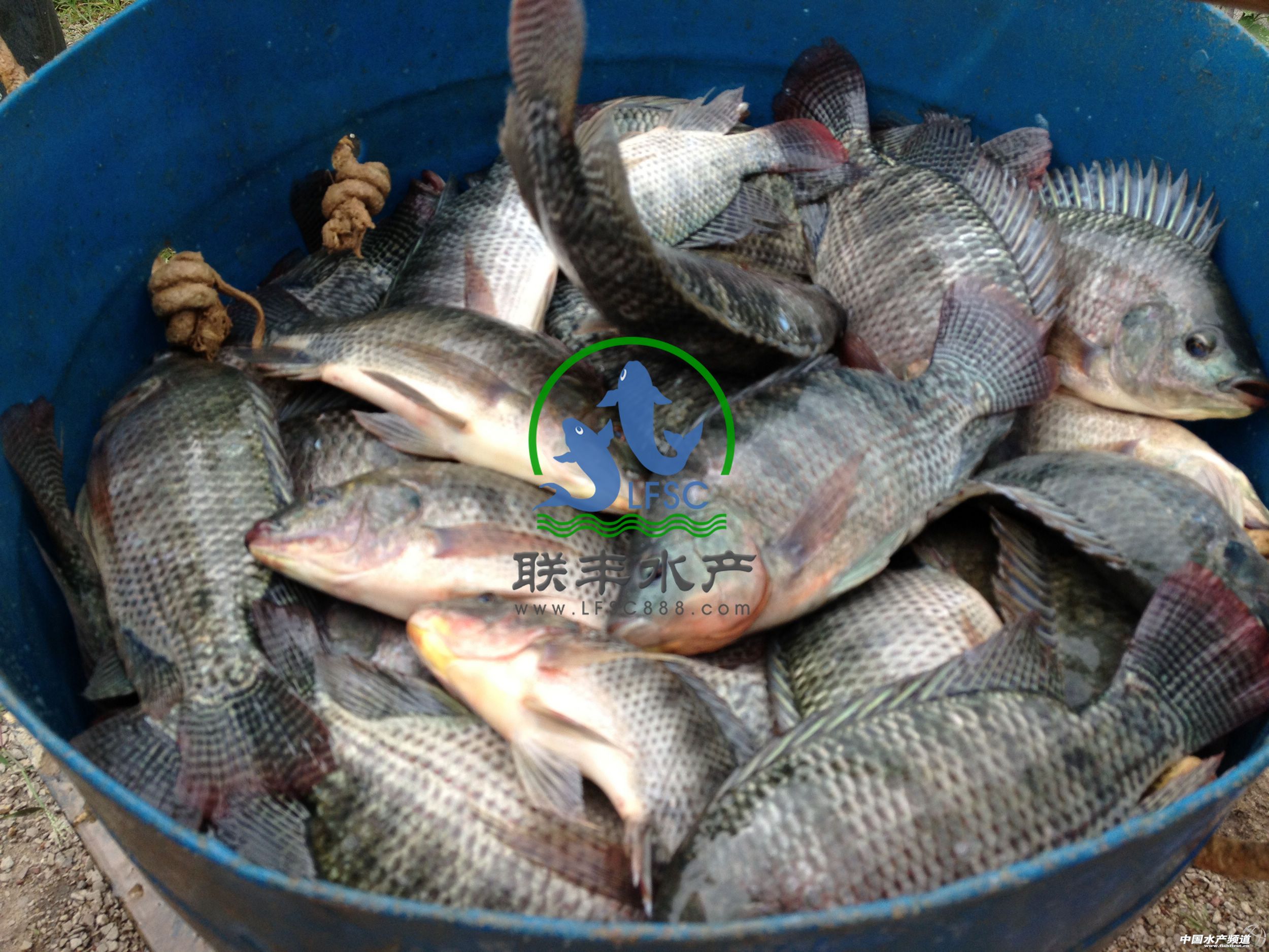
      以下是廣州聯豐水產技術團隊在云南陳老板羅非魚養殖現場拍攝到的實景:


                                          圖一:云南陳老板羅非魚塘一角

    圖二:云南陳老板魚塘一角,水中的倒影清晰可見,足以看出陳老板魚塘水質清澈,給羅非魚的生長提供了優質的環境。



    圖三:暖陽照射下,陳老板的羅非魚一角。


                               圖四:廣州聯豐水產技術在與陳老板交談2014年羅非魚的戰略部署策劃。



                                          圖五:陳老板另外一個羅非魚塘干塘中。



                                                   圖六:羅非魚塘干塘。


                                圖七:現場捕撈起的羅非魚,規格整齊,自然也可以賣個好價錢。
         我們還了解到,2014年陳老板對水產養殖也有了新的規劃,2014年羅非魚市場回暖,陳老板將會追趕回暖勢頭,擴大羅非魚養殖。同時,還會再在廣州聯豐水產進泥鰍苗、黃骨魚苗、鯽魚苗、斑點叉尾鮰等各種優質魚苗回來飼養,多品種養殖,提高抗風險能力。在此,我們也祝愿陳老板水產養殖獲得更大的成功。



    相關帖子

    2

    主題

    4

    聽眾

    85

    積分

    正式會員

    Rank: 2Rank: 2

  • TA的每日心情
    死哪去了
    2014-6-4 20:39
  • 簽到天數: 71 天

    [LV.6]常住居民II

    帖子
    71
    精華
    0
    經驗
    85 點
    金幣
    1003 元
    注冊時間
    2013-6-6

    社區QQ達人

    沙發
    發表于 2014-3-18 12:11:30 |只看該作者
    二維碼
    發個好貼,做做廣告很應該。但要具體說明如何做到在云南度冬?只說成績,不說做法,失去了學習、交流價值,只有宣傳意義。
    在線交流
    回復

    使用道具 舉報

    0

    主題

    4

    聽眾

    34

    積分

    新手上路

    Rank: 1

  • TA的每日心情
    加油
    2015-2-11 20:55
  • 簽到天數: 72 天

    [LV.6]常住居民II

    帖子
    34
    精華
    0
    經驗
    34 點
    金幣
    722 元
    注冊時間
    2014-2-20
    板凳
    發表于 2014-3-19 08:17:16 |只看該作者
    雜志招聘
    云南什么地方的?安全越冬的措施。。。
    水產前沿雜志預定
    回復

    使用道具 舉報

    529

    主題

    17

    聽眾

    2933

    積分

    四級會員

    Rank: 6Rank: 6

  • TA的每日心情
    死哪去了
    2014-8-4 11:41
  • 簽到天數: 18 天

    [LV.4]偶爾看看III

    帖子
    1454
    精華
    3
    經驗
    2933 點
    金幣
    456 元
    注冊時間
    2011-8-23
    4
    發表于 2014-3-25 11:27:27 |只看該作者
    魚塘夠大的
    回復

    使用道具 舉報

    84

    主題

    5

    聽眾

    397

    積分

    二級會員

    Rank: 3Rank: 3Rank: 3

  • TA的每日心情
    絕對不打你
    2015-4-16 10:38
  • 簽到天數: 126 天

    [LV.7]常住居民III

    帖子
    300
    精華
    0
    經驗
    397 點
    金幣
    2156 元
    注冊時間
    2013-10-6
    5
    發表于 2014-3-25 14:09:09 |只看該作者
    diandian 發表于 2014-3-25 11:27
    魚塘夠大的

    恩,是的。云南陳老板是當地的養殖大戶。
    回復

    使用道具 舉報

    529

    主題

    17

    聽眾

    2933

    積分

    四級會員

    Rank: 6Rank: 6

  • TA的每日心情
    死哪去了
    2014-8-4 11:41
  • 簽到天數: 18 天

    [LV.4]偶爾看看III

    帖子
    1454
    精華
    3
    經驗
    2933 點
    金幣
    456 元
    注冊時間
    2011-8-23
    6
    發表于 2014-3-25 15:31:20 |只看該作者
    云南能養羅非的地方不多吧
    回復

    使用道具 舉報

    發表回復

    您需要登錄后才可以回帖 登錄 | 注冊

     
    吃透酸堿度,讓你魚蝦養殖效益翻番
    2018中國水產動保產業年會
    10種常見淡水魚細菌性疾病特征
    下血本還降不了氨氮亞硝鹽?
    蝦苗選到迷茫?你最需要這些實用技巧
    2017年冬將現極寒?別擔心!
    Archiver|手機版|關于我們|廣告業務|加入我們|聯系方式|免責聲明|

    回頂部